24 12
發新話題
打印

戈拉帕格斯群岛 under water world of Galápagos Islands 的遊蹤

戈拉帕格斯群岛 under water world of Galápagos Islands 的遊蹤

戈拉帕格斯群岛/加拉巴哥群島 Galápagos Islands,原文的函義為『龜之島』
位於南美洲厄瓜多 (Ecuador) 西面六百海浬的太平洋中,由上百座大小島嶼組成,
1535 年 3 月 10 日,巴拿馬主教多馬斯培蘭嘉由巴拿馬前往秘魯時,
遇到了連續六天的無風狀態而被海流帶到這邊,而這次意外的迷航,就是人類瞭解加拉巴哥群島的起源...

另外加拉巴哥群島有許多讓人嘆為觀止的頭銜:
‧英國科學家達爾文「進化論」靈感來源
‧全世界第一個世界自然遺產 ( World Heritage ):世界遺產編號一號
‧四股太平洋洋流的交匯處
‧世界上唯一的海生蜥蜴及夜行海鷗棲息地
‧2008 Travel + Leisure Magazine 評為世界最棒的島嶼
galapagos共有13個較大的岛, 6個小岛, 另還有40多个更小的小岛。

其中有人類居住的岛只有4個~
San Cristobal
Santa Cruz
Isabela
Floreana

這4個島因為擁有淡水资源,可以供给飲用水, 所以有人住在這裡。
島民以捕魚和觀光服務業為生。

沒耐性打太多字,比較詳細的中文介紹看看其他人的遊記吧:

http://www.backpackers.com.tw/fo ... t=236378&page=1

下圖是島上展示廳的立體地圖模型,可見主大島是還在活動的活火山,島的範圍還在隨火山經年的噴發在擴展,旁邊的小島是很久很久之前的噴發形成的,噴發出不同的火山灰,熔岩會行成不同的土質,不同的土質會孕育不同的植物層 (不少島的植物層比較單調,這獨特性令這些島的聚居生物也就變得獨特),由於這些島的“年輕”性和隔離性,才形成和南美大陸不同的獨特生態環境。

附件

001.jpg (236.23 KB)

2010-4-24 17:05

001.jpg

TOP

展示廳介紹不同島的不同生態:

附件

002.jpg (350.39 KB)

2010-4-24 17:06

002.jpg

003.jpg (353.24 KB)

2010-4-24 17:06

003.jpg

004.jpg (328.68 KB)

2010-4-24 17:06

004.jpg

TOP

有兩個有人類居住的岛有機場。

附件

005.jpg (350.36 KB)

2010-4-24 17:06

005.jpg

006.jpg (157.3 KB)

2010-4-24 17:06

006.jpg

TOP

機場很簡陋,減少對生態的影響,要步行登機下機。下機後很快就辦好入境手續,和交 US $100 國家公園入場費,記得保留門票和收據,行程尾,負責的領隊導遊要登記回報國家公園。

行李等了不少時間,因是有限的人手搬來簡陋的機棚旁,還要等警犬聞,確保沒帶入外來蔬果/種籽/生物/違禁品。

附件

007.jpg (187.23 KB)

2010-4-24 17:07

007.jpg

008.jpg (191.66 KB)

2010-4-24 17:07

008.jpg

009.jpg (238.05 KB)

2010-4-24 17:07

009.jpg

010.jpg (191.58 KB)

2010-4-24 17:07

010.jpg

TOP

由行居的船,上島/回船都靠橡皮艇。

附件

011.jpg (258.13 KB)

2010-4-24 17:08

011.jpg

TOP

我選的是中型高級船,要中型船是部份遠的島要起碼中型船才夠續航力去到,我沒暈船的問題,如要穩就要大郵輪或雙體船,但同船的遊客太多就限制很多,太多人要輪流上島很可能會輪到近中午上島,那時就又熱又光硬,不合拍攝。
我坐的船,是盡量用晨早/下午上島,避開太熱的時候,近中午就利用熱力做浮潛看水下世界,盡量利用晚間航船 (對暈船的人會難受)。

還有些中型經濟船,但估計船倉更狹小 ,伙食也差(我的高級船,船倉已經算要狹小的,我一個人報名,要和另一船公司分配的兩人用一上下隔床鋪),我行李已站用唯一的“地下”空間,攝影包要放床上。
我們一團 18 人,8 天7 夜,中途有參加 5 天團的換人,參加的美國人為主,其他澳洲,歐洲各國的都有,只我一各是亞洲的,在島上偶爾見到韓國和日本人。船員有 7 人 (一個兼酒保/侍應/鋪床的沒在相中) 左邊是廚師,右邊是船長,其他的都兼多職。全不懂英文,要靠領隊傳話。

附件

012.jpg (193.47 KB)

2010-4-24 17:09

012.jpg

013.jpg (179.42 KB)

2010-4-24 17:09

013.jpg

TOP

典型一天的活動

附件

014.jpg (112.9 KB)

2010-4-24 17:11

014.jpg

TOP

上島/回船都靠橡皮艇,石階上經常有海獅擋路 :)

附件

015.jpg (204.96 KB)

2010-4-24 17:11

015.jpg

TOP

伙食包一天三餐,味道不錯的半自助行式,取材全來自島上自種或畜養,因不準有外來種,餐餐換款,但特色就沒多少啦,因是遷就大多數西式人的口味。 包括連鮮果汁/甜品/咖啡茶,汽水/啤酒要另付費 。

附件

016.jpg (147.65 KB)

2010-4-24 17:11

016.jpg

TOP

島上的國界碑銘。

附件

017.jpg (229.07 KB)

2010-4-24 17:12

017.jpg

TOP

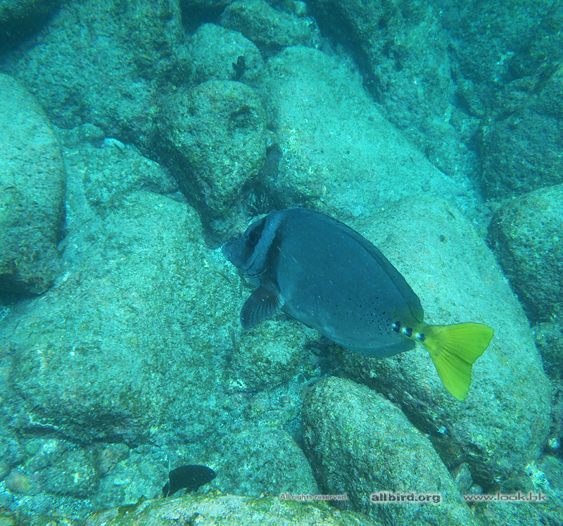
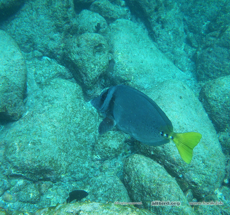
第一次試看(淺,非潛)的海底世界,原來是另一個世界,出事啦   =.=||  , 搞到我想學潛水 ,

附件

001.jpg (253.82 KB)

2010-4-24 17:13

001.jpg

002.jpg (204.65 KB)

2010-4-24 17:13

002.jpg

003.jpg (151.46 KB)

2010-4-24 17:13

003.jpg

004.jpg (191.65 KB)

2010-4-24 17:13

004.jpg

005.jpg (290.77 KB)

2010-4-24 17:13

005.jpg

TOP

再想想在天上應該也是另一個世界,搞到我想學飛 …………….

附件

006.jpg (323.57 KB)

2010-4-24 17:15

006.jpg

007.jpg (323.57 KB)

2010-4-24 17:15

007.jpg

008.jpg (439.11 KB)

2010-4-24 17:15

008.jpg

009.jpg (163.77 KB)

2010-4-24 17:15

009.jpg

010.jpg (408.59 KB)

2010-4-24 17:15

010.jpg

TOP

這些圖最好整理,因我完全不懂,不用為找品種名煩 …….

附件

011.jpg (208.21 KB)

2010-4-24 17:17

011.jpg

012.jpg (153.53 KB)

2010-4-24 17:17

012.jpg

013.jpg (467.35 KB)

2010-4-24 17:17

013.jpg

014.jpg (212.79 KB)

2010-4-24 17:17

014.jpg

015.jpg (156.43 KB)

2010-4-24 17:17

015.jpg

TOP

科技的進步,用台便宜的小防水 DC , 已能拍,只是對焦/和快門的反應都很慢,所以對構圖也沒要求啦。

附件

016.jpg (195.11 KB)

2010-4-24 17:18

016.jpg

017.jpg (381.44 KB)

2010-4-24 17:18

017.jpg

018.jpg (329.95 KB)

2010-4-24 17:18

018.jpg

019.jpg (458.76 KB)

2010-4-24 17:18

019.jpg

020.jpg (350.32 KB)

2010-4-24 17:18

020.jpg

TOP

附件

021.jpg (199.58 KB)

2010-4-24 17:19

021.jpg

022.jpg (224.44 KB)

2010-4-24 17:19

022.jpg

023.jpg (284.08 KB)

2010-4-24 17:19

023.jpg

024.jpg (260.42 KB)

2010-4-24 17:19

024.jpg

025.jpg (519.85 KB)

2010-4-24 17:19

025.jpg

TOP

 24 12
發新話題